幼虫の写真図鑑 イモムシ・ケムシ図鑑
Field guide to the Caterpillars of Japan

アオスジアゲハ

チョウ目 アゲハチョウ科 アゲハチョウ亜科
Graphium sarpedon
体長 (終齢)40mm前後
発生時期 5-10月(2〜4化)
越冬態 蛹
蛹化方法 葉裏や枝、人家の壁などで帯蛹になる
寄主植物 クスノキ・タブノキ・シロダモ・ニッケイ・ヤブニッケイ・マルバニッケイ・イヌガシ・ハマビワ・アブラチャン・ゲッケイジュ・バリバリノキなど(クスノキ科)
分布 本州・四国・九州・南西諸島
成虫の情報はこちら → アオスジアゲハ(昆虫エクスプローラへ)
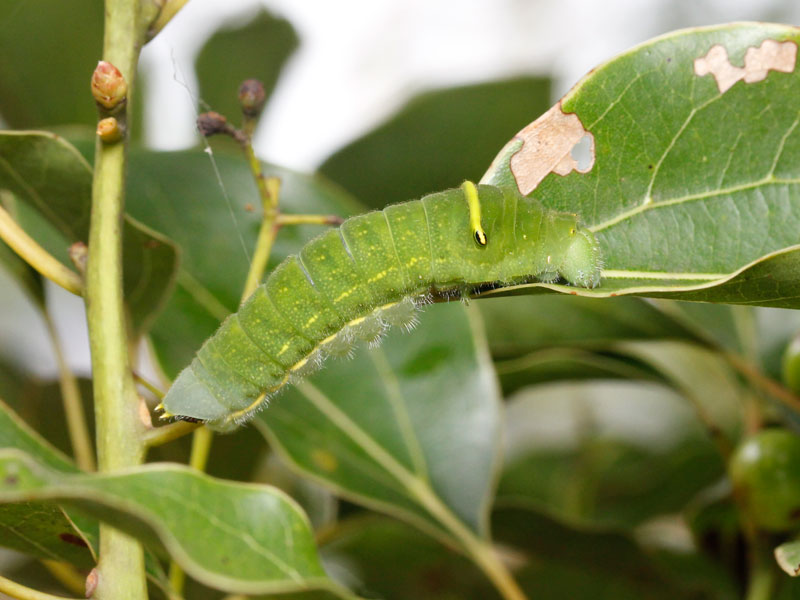
アオスジアゲハの幼虫
アオスジアゲハの幼虫 : 奈良県奈良市 2014.10.20
アオスジアゲハの幼虫
アオスジアゲハの幼虫 : 奈良県奈良市 2014.10.20
アオスジアゲハの幼虫
アオスジアゲハの幼虫 : 奈良県奈良市 2014.10.20
アオスジアゲハの幼虫
アオスジアゲハの幼虫 : 奈良県奈良市 2014.10.20
アオスジアゲハの幼虫(若齢)
アオスジアゲハの幼虫(若齢) : 大阪府岬町 2017.5.27
アオスジアゲハの幼虫(亜終齢)
アオスジアゲハの幼虫(亜終齢) : 大阪府四條畷市 2017.5.31
アオスジアゲハの幼虫(亜終齢)
アオスジアゲハの幼虫(亜終齢) : 大阪府四條畷市 2017.5.31
アオスジアゲハの幼虫(亜終齢)
アオスジアゲハの幼虫(亜終齢) : 大阪府四條畷市 2017.5.31
アオスジアゲハの幼虫(亜終齢)
アオスジアゲハの幼虫(亜終齢) : 大阪府豊中市 2018.10.21
アオスジアゲハの蛹
アオスジアゲハの蛹 : 愛知県豊田市 2013.12.26
アオスジアゲハの成虫
アオスジアゲハの成虫 : 神奈川県横浜市 2010.9.15